Día: 10 de octubre de 2018
Entradas 55
Ratifican a Martha Erika Alonso como gobernadora electa de Puebla
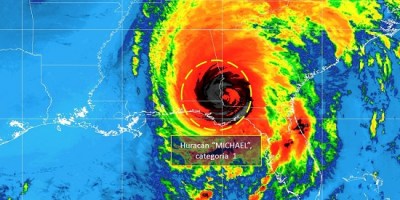
México emite recomendaciones a connacionales en EUA por huracán Michael
Rechaza Navarrete Prida retraso del Estado en identificación de desaparecidos
Liberan archivos sobre el Movimiento Estudiantil de 1968
Empresarios y próximas autoridades fijan agenda en turismo
Facultad de Planeación Urbana y Regional reacreditó en PNPC dos posgrados
Precisa organismo de agua de Metepec que el municipio no será afectado por trabajos del Cutzamala
Diputados locales recibirán aguinaldo, no bono de fin de año, dice Godoy
Comisionado de Policía Federal promete justicia a oficial asesinado en Jalisco
Lista la Quinta Feria Nacional de Pueblos Mágicos en Morelia
Educación, vital para transformación del país Esteban Moctezuma
Para Función Pública el caso del Paso Exprés está cerrado Arely Gómez
Alumnos mexiquenses proponen elaborar papel a partir de estiércol
López Obrador convocará a jóvenes a reforzar corporaciones de seguridad
Sanción de ocho servidores públicos, entre acciones por Paso Exprés
Nueva generación de satélites elevará predicciones meteorológicas
Encuentran más de una tonelada y media de explosivos en Estado de México
Tribunal Electoral multa al PRI por afiliación indebida de militantes
Avala Tribunal Electoral requisitos para elegir presidente del PAN
López Obrador anuncia inversión de 46 mil mdp para el Estado de México
México, primer país del mundo en liberar banda de 600 MHz
Profeco recibe reconocimiento por «Quién es quién en los precios»
Capturan en Tamaulipas a otro agresor de estudiantes de la UNAM; van 17
Instituto Electoral y Migración acuerdan apoyar a mexicanos en retorno
Reconocen en EUA liderazgo del secretario de Economía de México
Planea cadena de almacenes Sears declararse en bancarrota
Tipificar facturas falsas como delito grave, ofrece Martí Batres
Estado de México apuesta por la innovación y el desarrollo tecnológico
Pueblos y Barrios contra la corrupción inmobiliaria
Senado ha liquidado a más de dos mil trabajadores desde septiembre, señala Monreal (VIDEO)
Habrá cierre total en autopista México-Toluca el sábado
“Atenderé críticas y reclamos”: Romo Guerra
Código de seguridad en cajetillas de cigarro evitaría piratería SAT
Reforma de telecomunicaciones duplica número de internautas
Histórica, la inversión en infraestructura escolar en esta admnistración: Javier Treviño Cantú
Reitera INE disposición para asesorar realización de consulta ciudadana
Durazo llama a rescatar a jóvenes vulnerables de las manos de la delincuencia
Se instala comisión para Nuevo Aeropuerto Internacional de la Ciudad de México
Refrenda PAN impulso a la transparencia y lucha contra la corrupción
Consulta sobre NAICM también busca conocer opinión sobre espacio urbano y movilidad
No crearan nuevos impuestos para la capital del país
Abrirá orquesta filarmónica mexiquense festival quimera 2018
Diputados del PRD piden cuentas a titular de la SSP por operativo violento en inmediaciones de la basílica de Guadalupe
Realizan próximos funcionarios recorrido en zona de nuevo aeropuerto
Michael será el huracán más poderoso que azote Florida
Dólar abre en 19.52 pesos en ventanillas bancarias
López Obrador y Del Mazo discutirán programas en beneficio de los mexiquenses
Nombre de acuerdo comercial se definirá hasta firmarlo, señala Seade

Debe estar conectado para enviar un comentario.