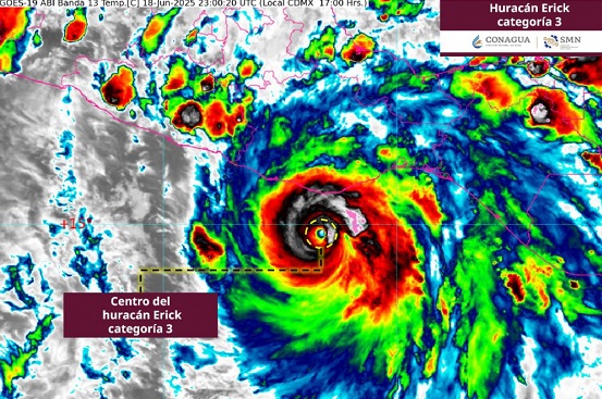
El Servicio Meteorológico Nacional informa que el huracán Erick evolucionó esta tarde a categoría 3 y continúa intensificándose.
“Ya es un peligroso huracán mayor con categoría 3 y continuará intensificándose mientras se dirige a la costa de Oaxaca y los límites con Guerrero”, se destaca en la cuenta oficial del Servicio Meteorológico Nacional #SMNmx, perteneciente a la Comisión Nacional del Agua.
“Erick” tocará tierra este jueves
La presidenta de México, Claudia Sheinbaum, utilizó sus redes sociales para informar que el huracán “Erick” tocará tierra en las costas de Oaxaca y Guerrero, las primeras horas de este jueves.
Pidió a la población de estos estados permanecer en sus hogares, mientras que a los que se encuentran situados en zonas bajas y cerca de causes los instó a acudir a un refugio.
Resaltó que las clases fueron suspendidas en todos los niveles educativos y recordó que ya está en marcha el Plan DN-III y Marina.
Autobuses, camiones y taxis suspenden servicio en Acapulco por llegada de ‘Erick’
Ante el mal tiempo, las líneas aéreas decidieron cancelar todos sus vuelos para este jueves con destino y salidas de Acapulco; por otra parte, la línea de autobuses Estrella de Oro anunció que a partir de la tarde de este miércoles suspende todas las salida y llegadas a esa terminal, pues siempre que llueve hay inundaciones en el Boulevard de las Naciones.
En la mayoría de los supermercados y gasolineras continúan las compras de última hora, aunque no tan intensas como las del martes por la tarde. También el servicio de transporte de Acapulco a los pueblos de la Costa Chica en Camionetas, taxis colectivos y autobuses fue cancelado para la noche de este miércoles y la mañana del jueves.
Sigue la suspensión de clases de todos los niveles en los 85 municipios de Guerrero. En Punta Maldonado, muy cerca de Oaxaca hay personal de Protección Civil y del Ejercito listos para entrar en acción en caso de ser necesario y en algunos lugares están repartiendo despensas entre la población.
Se prevé que afecte 10 municipios de Guerrero
Autoridades prevén que el huracán “Erick”, ahora en categoría 3, deje afectaciones en 10 municipios de Guerrero, como lo son Cuajinicuilapa, Ometepec, Marquelia, Azoyú, Juchitán, Copala, Florencio Villarreal, Cuautepec, San Marcos y Acapulco.
Suman más de 7 mil militares desplegados en Guerrero
Debido a la llegada del huracán “Erick” se activaron los planes DN-IIIE y Marina, así como los protocolos por parte de la Comisión Federal de Electricidad (CFE), la Comisión Nacional del Agua (Conagua) y la Secretaría de Infraestructura, Comunicaciones y Transportes.
En el caso de Guerrero, hasta el momento hay un despliegue de 4 mil 590 de la Secretaría de la Defensa Nacional y 2 mil 653 de la Marina; se espera que esta cifra se incremente en el transcurso del día.
Oaxaca atento
Se espera que el huracán “Erick” genere lluvias extraordinarias en el estado de Oaxaca, con acumulaciones superiores a 250 milímetros (mm), las cuales podrían causar desbordamiento de ríos y arroyos, deslaves en zonas montañosas, encharcamientos e inundaciones en áreas bajas e interrupciones en caminos y carreteras.
Además, se prevén vientos muy fuertes en las costas de Oaxaca, con velocidades de 190 a 200 km/h y rachas que podrían superar los 210 km/h, así como oleaje elevado de 6 a 8 metros, mareas de tormenta entre 2-2.5 metros y la posible formación de trombas marinas frente a la costa.
Ante esto, la Coordinación Estatal de Protección Civil y Gestión de Riesgos exhorta a la población a:
• Extremar precauciones por lluvias, vientos y oleaje elevado.
• Evitar actividades en zonas costeras y navegación marítima.
• Mantenerse informada a través de fuentes oficiales.
• Atender las indicaciones de las autoridades de Protección Civil.
El Consejo Estatal de Protección Civil mantiene vigilancia permanente y trabaja de forma coordinada con los tres órdenes de gobierno para salvaguardar la integridad de la población oaxaqueña ante la evolución de este fenómeno.

