Día: 24 de agosto de 2017
Entradas 48
Nuño confía que mexicanos darán continuidad a reforma educativa en 2018 (VIDEOS)
Proceso para candidato de frente amplio debe ser muy estricto Gil Zuarth
Realizará UAEM Foro sobre Servicio Social, Prácticas y Estancias Profesionales y el Servicio Universitario de Empleo
Anuncia David López construcción de 21 techumbres para escuelas de Metepec
Osorio Chong resalta labor de Menchú Tum en favor de derechos humanos
Autoridad electoral estima presupuesto de poco más de 18 mil mdp para 2018
Función Pública presenta Guía de Gobierno Abierto 2017
Industria tequilera impulsa arribo de turistas internacionales a México
Levantarán encuesta sobre discriminación en México por primera vez
Sin prórroga, emisión de nueva factura electrónica Servicio de Administración Tributaria
Reporta que lluvias en Guerrero provocan daños y arrastran vehículos
Con la fuerza de las mujeres poblanas PRI recuperará puebla: Hilda Flores Escalera
Metepec sede del noveno foro interestatal de cultura del agua y bosque
México y Rusia celebran la XII reunión del Mecanismo de Consultas Políticas y refuerzan compromisos bilaterales
Necesario que las instituciones de educación superior formen jóvenes preparados para un mundo que cambia constantemente, Salvador Jara en la UAEM
Garantizados, pensiones y servicios del IMSS, asegura Mikel Arriola (VIDEO)
PRI tiene buenos «gallos» para el 2018, afirma Gamboa Patrón (VIDEO)
Transparencia y DIF firman convenio sobre acceso a la información
Fortalecerá Sagarpa su presencia en Chihuahua con apoyos económicos
Detienen a presunto líder regional de grupo de secuestradores en Veracruz
PAN luchará unido por una Fiscalía independiente y apartidista, Anaya
De la Madrid llama a consolidar seguridad para que no se detenga turismo (VIDEO)
Osorio Chong y Videgaray revisan acciones en apoyo a connacionales en retorno
Tribunal Electoral ordena recuento de 556 casillas de elección mexiquense
Procuraduría capitalina busca a seis por asalto al cine Tonalá
Ley de Telecomunicaciones respeta derechos humanos Suprema Corte
Senadores analizan normativa sobre reutilización de aguas tratadas
ISSSTE presentó cuatro denuncias penales por robo de medicamento
Meade expresa entusiasmo por ser visto como alternativa para candidatura del PRI (VIDEO)
Población sin seguridad social contará con nuevas opciones de vivienda
Detienen a colaborador cercano de líder criminal de Tláhuac
Último año del sexenio es para consolidar logros, afirma Osorio Chong
Desarrollo Social prevé resultados positivos en la evaluación del Coneval
Peña Nieto sostuvo encuentro con el gobernador electo de Coahuila
Democracia, medio para mejorar bienestar ciudadano Osorio Chong
Gobierno federal llama a evitar consumo de productos ilegales de totoaba
Secretario de la Defensa pide a militares graduados trabajar por México
Por primera vez en la historia se cumplirá meta de inflación promedio Meade (VIDEO)
CUESTIÓN de POLÉMICA : Justicia, laberinto sin salida
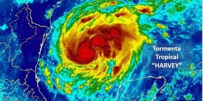
Tormenta tropical Harvey cobrará fuerza en las próximas horas
Dólar cede terreno, se vende en 18.05 pesos en bancos de la capital
Inflación avanza 0.31 por ciento en primera quincena de agosto
Cierres viales y suspensión de servicio en Metrobús por Maratón del próximo domingo
El Arsenal: La ira de Anaya
Línea Caliente: Cae otro periodista ¡Alto a la matanza!
Poder y dinero: Plenarias del PRI, pasarela de presidenciables
