Día: 25 de agosto de 2017
Entradas 41
PRI tiene “lente amplio” para analizar candidatos para 2018 Ochoa Reza
Gobiernos municipales son claves en desarrollo de países Rosario Robles
Protección Civil llama a extremar precauciones ante efectos de Harvey
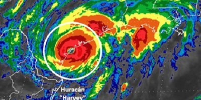
Harvey sube a categoría 4 y tocará Texas esta noche
El director de arte e ilustrador Abraham Morales compartió su experiencia profesional con estudiantes de la UAEM
Actas de nacimiento se podrán trámitar en módulos del INE
Reducción en suministro de agua afectará a 11 municipios mexiquenses
Investigan muerte de un hombre en canal de Xochimilco
Vigente la “cancha pareja” a partir del 8 de septiembre INE
Peña Nieto y vicepresidente de Suiza abordan relación bilateral
Pensar es un ejercicio para dudar: Alma Delia Murillo
México aprovecha experiencia de Suiza para educación y modelo dual (VIDEO)
Peña Nieto recibe cartas credenciales de 12 nuevos embajadores en México
Humberto Lepe, nuevo Director General de Delegaciones de la Profeco
Nuevo aeropuerto capitalino será de los más seguros del mundo, prevé Seguritech
Derecho de réplica se ejerce ante datos publicados, no opiniones Corte
Fiscal General y Seguridad Interior en agenda del PAN en Senado
Educación financiera reduce índice de morosidad Infonavit
Guajardo resalta prioridades de México en renegociación del TLCAN
Paquete económico 2018 ofrecerá certidumbre tributaria Meade
Comisiones legislativas se comprometen a apoyar a la población afromexicana
Gobernador de Durango apoya que Raúl Cervantes sea próximo fiscal
Totoaba dejaría de ser una especie en peligro de extinción y comercializarse
Peña Nieto inicia transmisión de mensajes por su Quinto Informe de Gobierno
Infonacot aumenta los créditos en este regreso a clases
Desempleo en México disminuye en julio, se ubica en 3.2 por ciento
Recibe la senadora Ana Gabriela Guevara Honoris Causa por su contribución deportiva y legislativa
Reciben beca 168 estudiantes de Universidades Tecnológicas y Politécnicas, para realizar estancias académicas en Estados Unidos
Tamaulipas mantiene alerta amarilla ante cercanía de Huracán Harvey categoría 2
México es hoy el doceavo productor de alimentos en el mundo Peña Nieto (VIDEO)
Dólar continúa en retroceso, se vende en $18.06 en bancos
Acuerdo de confidencialidad no compromete prioridades de México en negociación de TLCAN
Investigan balacera en Lomas de Chapultepec donde participaron policías mexiquenses
Alistan reapertura de la plancha del Zócalo capitalino
El Arsenal: Se los dije…
Cuestión de POLÉMICA: Corrupción política, periodistas culpables
Línea Caliente: Pabuche.., ¡Perro, sí come perro!
Poder y dinero: Pasarela de presidenciables con el PVEM
ÍNDICE POLÍTICO: La bomba de tiempo, en poder de Videgaray
